|
アオツヅラフジ(青葛藤) |
| ツヅラフジ科/アオツヅラフジ属 |
| 学名 Cocculus trilobus |
|
| ◎別名/カミエビ |
|
◎被子植物/双子葉 離弁花。
|
|
◎分布/北海道、本州、四国、九州、沖縄。
|
| ◎樹形/落葉つる性木本。 |
|
◎樹高/----
|
|
◎花期/7〜8月。雌雄異株。
|
| ◎生育地/低地の草原や道端、林縁など。 |
|
|
|
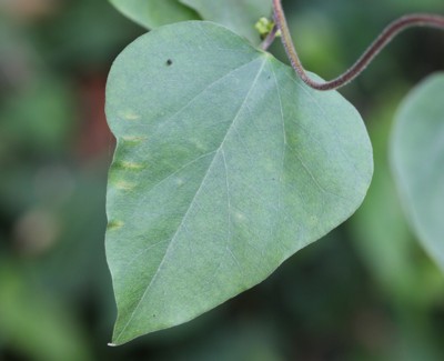
・葉は互生。葉身は長さ3〜12cm、幅2〜10cmの広卵形〜卵心形で、ふちは全縁。葉の形は変化が多く、ときに浅く3裂する。
|
|
・枝先と葉腋に小さな花序をだし、黄白色の花をつける。花弁は6個で先は2裂する。
|
|
 |
|
|
|
|
| ・雄花の雄しべは6個。雌花には雌しべが6個と仮雄しべが6個ある。 |
| ・果実は核果。直径6〜7mmの球形で、10〜11月に白粉を帯びた黒色に熟す。 |
| ・核は直径約5mm。丸まった芋虫のような形をしている。 |
|
|
|
|
|
|
---APG分類体系V(2009年)---
|
| ◎被子植物 Angiosperms |
| ◎真正双子葉類 Eudicots |
|
◎キンポウゲ目 Ranunculales
|
|
◎ツヅラフジ科 Menispermaceae
|
|
◎アオツヅラフジ属 Cocculus
|
| APG分類体系V/写真検索へ |
|
|
|
|
|
|
|
|
|
樹木/科名別索引 五十音順索引
|
|
観察帳へ 写真帳へ
|
| |
|
|
| |
| 戻る 表紙へ |
| |
|
| |
|