|
ノジスミレ(野路菫) |
| スミレ科/スミレ属 |
| 学名 Viola yedoensis |
|
|
◎スミレ科、多年草。
|
|
◎分布/本州、四国、九州。
|
|
◎高さ/5〜10cm。
|
|
◎花期/3〜4月。
|
|
◎生育地/道端、野原など。
|
|
|
|
・名は日当たりの良い道端や野原などに多い事から。
|
|
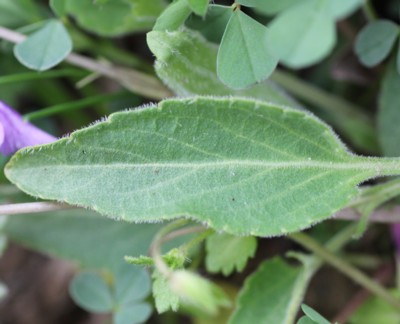
・葉は長さ3〜8cmの長楕円状または三角状披針形。全体に微毛が多い。
|
|
・花は直径約1.5cmで、淡紫色〜紅紫色。
|
|
・距は長さ4〜7mm。側弁の基部は普通は無毛だが、有毛のものもある。
|
| ・山野草(離弁花類)/写真検索はこちら |
|
 |
|
|
|
 |
|
---APG分類体系V(2009年)---
|
| ◎被子植物 Angiosperms |
| ◎真正双子葉類 Eudicots |
| ◎コア真正双子葉類 Core Eudicots |
| ◎バラ類 Rosids |
◎マメ類 Fabids
(真正バラ類T EurosidsT) |
|
◎キントラノオ目 Malpighiales
|
|
◎スミレ科 Violaceae
|
|
◎スミレ属 Viola
|
| APG分類体系V/写真検索へ |
|
|
|
|
|
科名別索引 五十音順索引 写真・春
|
|
|
| 観察帳へ 写真帳へ |
| |
|
|
| |
| 戻る 表紙へ |
| |
|
| |