|
タカサブロウ(高三郎) |
| キク科/タカサブロウ属 |
| 学名 Eclipta prostrata ※ |
|
|
◎キク科、一年草。
|
|
◎分布/本州、四国、九州、沖縄。
|
|
◎高さ/20〜70cm。
|
|
◎花期/8月〜9月。
|
|
◎生育地/田のあぜ、道端など。
|
|
|
|
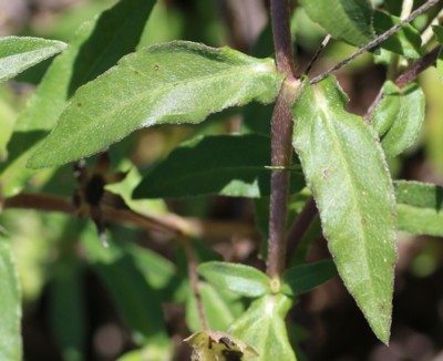
・茎は基部から分枝し、さらに葉腋から対生状に枝を出す。
|
|
・葉は対生し、長さ3〜10p、幅0.5〜2.5pの披針形。
|
|
・上部の葉腋から柄を出し、直径約1pの頭花をつける。
|
|
・頭花は、周りに白色の舌状花、内側は筒状花で緑白色。
|
|
 |
|
|
|
---APG分類体系V(2009年)---
|
| ◎被子植物 Angiosperm |
| ◎真正双子葉類 Eudicots |
| ◎コア真正双子葉類 Core Eudicots |
| ◎キク類 Asterids |
◎キキョウ類 Campanulids
(真正キク類U Euasterids U) |
|
◎キク目 Asterales
|
|
◎キク科 Asteraceae
|
|
◎タカサブロウ属 Eclipta
|
| APG分類体系V/写真検索へ |
|
|
|
|
|
|
|
|
|
|
| ※判断自信度 |
★★★★★ |
| ※メモ |
「アメリカタカサブロウ」と言うのがあり、判別するのは難しいようです。まだ確認していません。
2013年12月---APG分類体系Vを追加表記しました。
※学名 「Eclipta prostrata」 → 「Eclipta thermalis」
APG分類体系V/目・科名一覧はこちら。
2022年10月---果実の写真を追加しました。似た「アメリカタカサブロウ」の痩果は、幅が狭く、側面が凹凸をしてる事で見分けられるようです。(本種の側面は平滑で翼状) |
|
|
科名別索引 五十音順索引 写真・秋
|
|
|
| 観察帳へ 写真帳へ |
| |
|
|
| |
| 戻る 表紙へ |
| |
|
| |